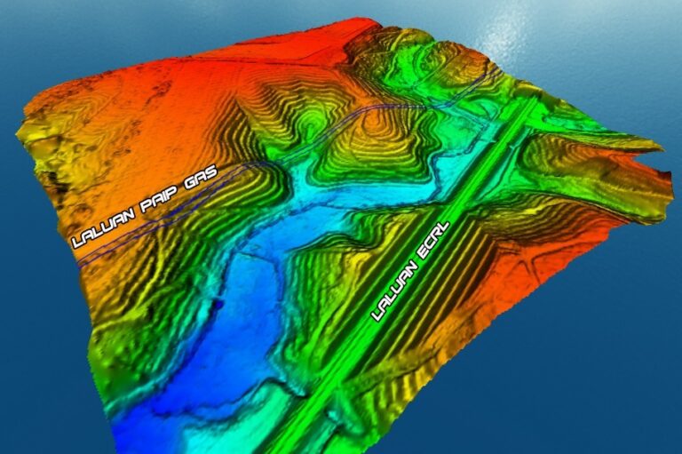
Revolusi teknologi Geomatik UAV LiDAR tingkat keselamatan saluran paip gas

Pemeriksaan saluran paip gas di Malaysia kini memasuki era baharu apabila teknologi pesawat tanpa pemandu … Teruskan membaca Revolusi teknologi Geomatik UAV LiDAR tingkat keselamatan saluran paip gas